Get Full Government Meeting Transcripts, Videos, & Alerts Forever!

Engineers clash over controversial development plans

August 02, 2024 | Citrus County, Florida



Black Friday Offer

Get Lifetime Access to Full Government Meeting Transcripts

Lifetime access to full videos, transcriptions, searches, and alerts at a county, city, state, and federal level.

$99/year $199 LIFETIME
Founder Member One-Time Payment

Full Video Access

Watch full, unedited government meeting videos

Unlimited Transcripts

Access and analyze unlimited searchable transcripts

Real-Time Alerts

Get real-time alerts on policies & leaders you track

AI-Generated Summaries

Read AI-generated summaries of meeting discussions

Unlimited Searches

Perform unlimited searches with no monthly limits

Claim Your Spot Now

Limited Spots Available • 30-day money-back guarantee

This article was created by AI summarizing key points discussed. AI makes mistakes, so for full details and context, please refer to the video of the full meeting. Please report any errors so we can fix them. Report an error »

Engineers clash over controversial development plans
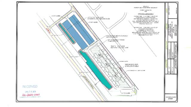
In a recent government meeting, discussions centered around a proposed development project that has raised several engineering and compatibility concerns. The project, which involves the expansion of a mini storage facility and the construction of medium-density residential duplex units, has faced scrutiny regarding access points, stormwater management, and compliance with local standards.

Key issues highlighted included the access route for the development, which was initially planned to be off Highway 41 but was later redirected to a side street that was identified as an alleyway. This alleyway does not meet the required 50-foot width standard necessary for proper drainage and curb installation, raising questions about public safety and compliance with local development codes.

The engineering team involved in the project argued that alternative solutions could be explored, suggesting that a fresh review of the stormwater management plan might yield viable options. They emphasized that the current design, which proposes a two-lane road, does not adequately address stormwater absorption, as the county would not be responsible for managing runoff.

Compatibility with surrounding land uses was also a focal point of the discussion. The developers pointed out that the adjacent properties include a mini storage facility and commercial uses, arguing that the proposed mixed-use development aligns with the existing landscape. They referenced the Citrus Springs master plan, which supports both the expansion of the storage facility and the new residential units.

Utilities were another significant topic, particularly the availability of water and sewer services. While the site has access to a force main waterline, central sewer services are not available. The developers proposed a monitored septic system as a solution, which they believe meets state definitions for central sewer when public options are lacking.

Concerns regarding open space requirements were addressed, with the developers asserting that even with potential fencing around septic systems, they would still meet the necessary open space criteria. They also discussed historical easements affecting the parcels involved, noting that recent surveys confirmed that these easements could revert to the outside boundaries of the development.

Finally, the developers expressed a willingness to adjust landscaping buffers to meet community standards, proposing a deviation from the typical requirements to foster good neighborly relations.

The meeting underscored the complexities of balancing development needs with regulatory compliance and community standards, as stakeholders continue to navigate the intricacies of local land use planning.

View full meeting

This article is based on a recent meeting—watch the full video and explore the complete transcript for deeper insights into the discussion.

View full meeting

Sponsors

Proudly supported by sponsors who keep Florida articles free in 2025

Republi.us
Republi.us
Family Scribe
Family Scribe