This article was created by AI summarizing key points discussed. AI makes mistakes, so for full details and context, please refer to the
video of the full meeting.
Please report any errors so we can fix them.
Report an error »
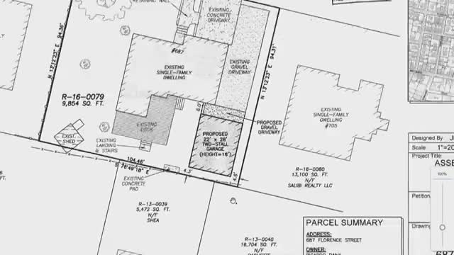
The Zoning Board of Appeals granted a variance on July 17 allowing an increase in lot coverage to permit construction of a detached two‑car garage at 326 Hemlock Street, subject to conditions including a ban on converting the garage to an accessory dwelling unit (ADU). Engineer Jeff Tallman presented the request after a site survey showed the property is close to the maximum allowable lot coverage. The proposed 22-by-28 garage would increase coverage from about 24.4% to roughly 30.7% of the lot area; tallman said the shed on the property is not on a permanent foundation and therefore is not counted in coverage calculations. Board deliberations focused on lot coverage, drainage and neighborhood character. Planning staff noted drainage concerns in the area and said site‑plan review will require infiltration of new roof area and an engineering solution for stormwater. The board added a condition that the new garage not be used or converted as an ADU in the future to avoid creating a new dwelling unit on an already dense lot. Neighbors opposed the variance, saying the Highlands neighborhood has single‑family character and warning the addition would create a cramped condition. The board approved the variance by majority vote and required the owner to secure site-plan review and building permits and to pursue infiltration measures to address stormwater.
View the Full Meeting & All Its Details
This article offers just a summary. Unlock complete video, transcripts, and insights as a Founder Member.
✓
Watch full, unedited meeting videos
✓
Search every word spoken in unlimited transcripts
✓
AI summaries & real-time alerts (all government levels)
Search every word spoken in city, county, state, and federal meetings. Receive real-time
civic alerts,
and access transcripts, exports, and saved lists—all in one place.
Gain exclusive insights
Get our premium newsletter with trusted coverage and actionable briefings tailored to
your community.
Shape the future
Help strengthen government accountability nationwide through your engagement and
feedback.
Risk-Free Guarantee
Try it for 30 days. Love it—or get a full refund, no questions asked.
Secure checkout. Private by design.
⚡ Only 8,055 of 10,000 founding memberships remaining
Explore Citizen Portal for free.
Read articles and experience transparency in action—no credit card
required.
Upgrade anytime. Your free account never expires.
What Members Are Saying
"Citizen Portal keeps me up to date on local decisions
without wading through hours of meetings."
— Sarah M., Founder
"It's like having a civic newsroom on demand."
— Jonathan D., Community Advocate
Secure checkout • Privacy-first • Refund within 30 days if not a fit