Get Full Government Meeting Transcripts, Videos, & Alerts Forever!

ZBA approves setbacks for 16-unit project at 8 South Clinton Street over two dissenting votes

June 10, 2025 | Poughkeepsie City, Dutchess County, New York


This article was created by AI summarizing key points discussed. AI makes mistakes, so for full details and context, please refer to the video of the full meeting. Please report any errors so we can fix them. Report an error »

ZBA approves setbacks for 16-unit project at 8 South Clinton Street over two dissenting votes
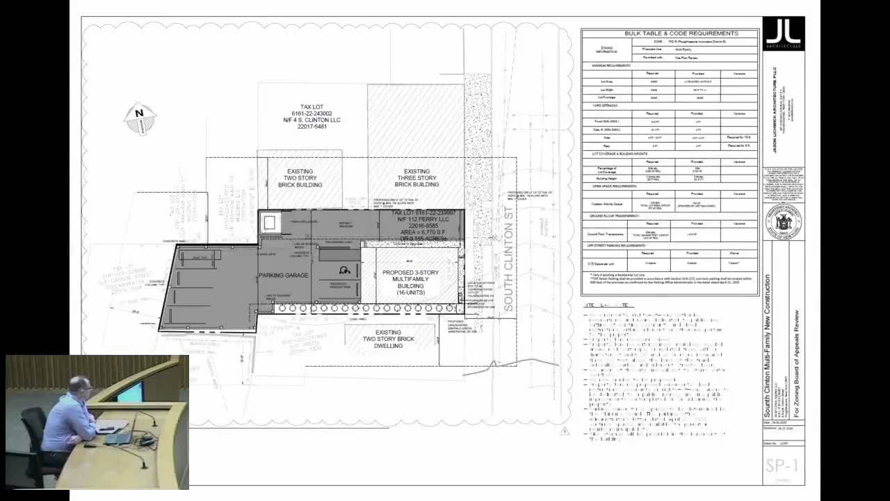
The City of Poughkeepsie Zoning Board of Appeals on June 10 granted area variances for a proposed 16‑unit multiple dwelling at 8 South Clinton Street, approving setback relief after a lengthy review and multiple revisions.

The application, filed by Jason Litchwick Architecture on behalf of South Clinton Equities LLC, sought variances to allow a south‑yard setback ranging from 0 to 5 feet where 15 feet is required and a rear‑yard setback of 0 feet where 8 feet is required. The board read the posted resolution and recited its five‑factor findings, including consideration of revisions that reduced the number of units from an earlier proposal and added a consistent 5‑foot south setback along the length of the neighboring residential building at 10 South Clinton Street.

Why it matters: The site sits between higher‑density commercial properties to the north and lower‑density residential properties to the south. Board members said repeated revisions and the city’s rezoning reduced the scale and number of variances over time, and the project can be seen as a transition between commercial and residential areas.

Vote and board rationale: After the chair called for a roll call, the vote recorded in the transcript was: Sam (yes), Justin (yes), Scott (yes), Jessica (yes), James (no). The clerk recorded four yeas and two opposed; there were no abstentions. Dissenting members raised concerns about precedent and neighborhood impacts; supporters cited the Planning Board’s negative declaration under SEQR and the applicant’s redesign to lower density and increase consistency with neighboring setbacks.

Next steps: Staff will deliver the signed resolution to the applicant, who must continue through required planning and permitting steps. The board noted that a neighboring claim of adverse possession was outside the ZBA’s jurisdiction and would have to be resolved in court if pursued.

Don't Miss a Word: See the Full Meeting!

Go beyond summaries. Unlock every video, transcript, and key insight with a Founder Membership.

Get instant access to full meeting videos
Search and clip any phrase from complete transcripts
Receive AI-powered summaries & custom alerts
Enjoy lifetime, unrestricted access to government data
Access Full Meeting

30-day money-back guarantee

Sponsors

Proudly supported by sponsors who keep New York articles free in 2025

Scribe from Workplace AI
Scribe from Workplace AI